City of Coquitlam
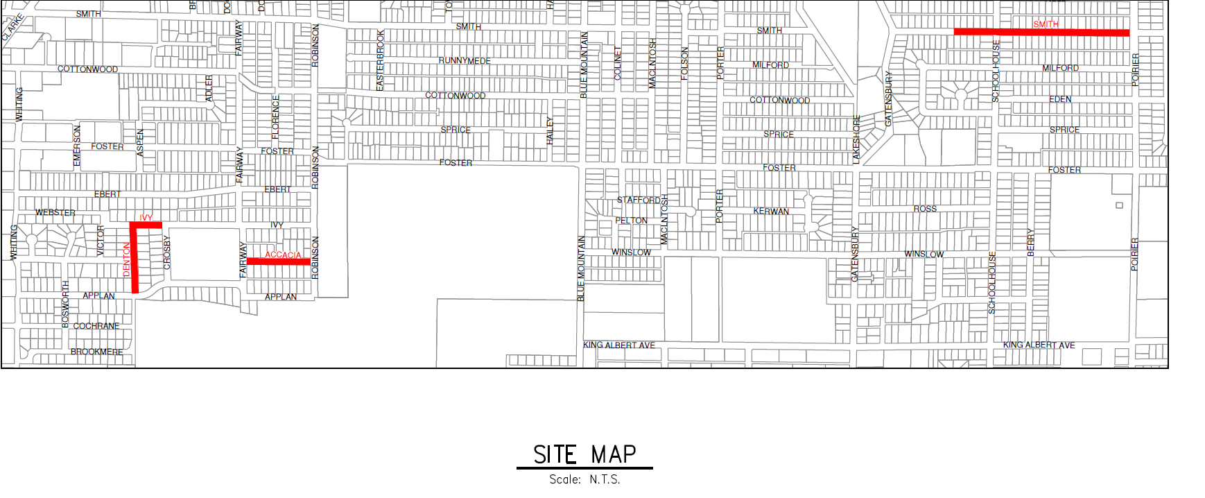
As part of the 2025 Sidewalk Program, Jack CEWE Construction Ltd., on behalf of the City of Coquitlam, will be carrying out construction work including concrete curb and sidewalk construction, minor storm works, landscaping, and asphalt paving. Work will take place at the following locations:
-
Denton Street from Appian Way to Ivy Avenue
-
Ivy Avenue from Denton Street to Crosby Street
-
Accacia Avenue from Fairview street to Robinson Street
-
Smith Avenue from Poirier Street to 150 m east of Schoolhouse Street
FAQ’S
-
Construction is scheduled to begin on July 14, 2025 and is expected to be completed by October 31, 2025, weather permitting.
-
Typical construction hours are from Monday to Friday from 7:00 AM - 5:00 PM. Occasional weekend work may be scheduled if necessary.
-
Yes, there may be temporary lane closures and detours. Signage will be posted to help direct traffic safely around the work zones.
-
Yes, access to homes and business will be maintained as much as possible. If temporary disruption is necessary, residents will be notified in advance.
-
Yes, street parking will be temporarily affected during working hours. We recommend using alternative parking options during this time.
-
You can typically walk on newly laid concrete sidewalks after 24 to 48 hours, depending on weather conditions and curing progress. Please follow posted signs and crew instructions for safety.
-
Efforts will be made to ensure that garbage/recycling collection and mail delivery continue as usual. Any changes will be communicated in advance.
-
Some noise and dust are expected during constructions hours. The contractor will take appropriate measures to minimize the impact on surrounding residents.
-
For general questions related to the overall project or City of Coquitlam policies, please contact the City of Coquitlam at https://www.coquitlam.ca/362/Frontage-Works-Program
For any project-specific inquiries, such as construction activity, timelines, or access issues, please reach out to:
William Cui, Project Manager - williamc@cewe.com
Matt Laurie, Superintendent - mlaurie@cewe.com
Have Questions, Concerns, or Feedback?
We’re here to help. Whether you’re looking for more information, want to share a concern, or simply have feedback about our ongoing construction, feel free to reach out using the form.
A member of our team will get back to you shortly.

